
Attualità
Aperto a Giovinazzo il cantiere per il basolato tra via Marina e piazza Duomo
Sarà concluso entro giugno, non manca qualche polemica
Giovinazzo - lunedì 20 aprile 2026
19.54
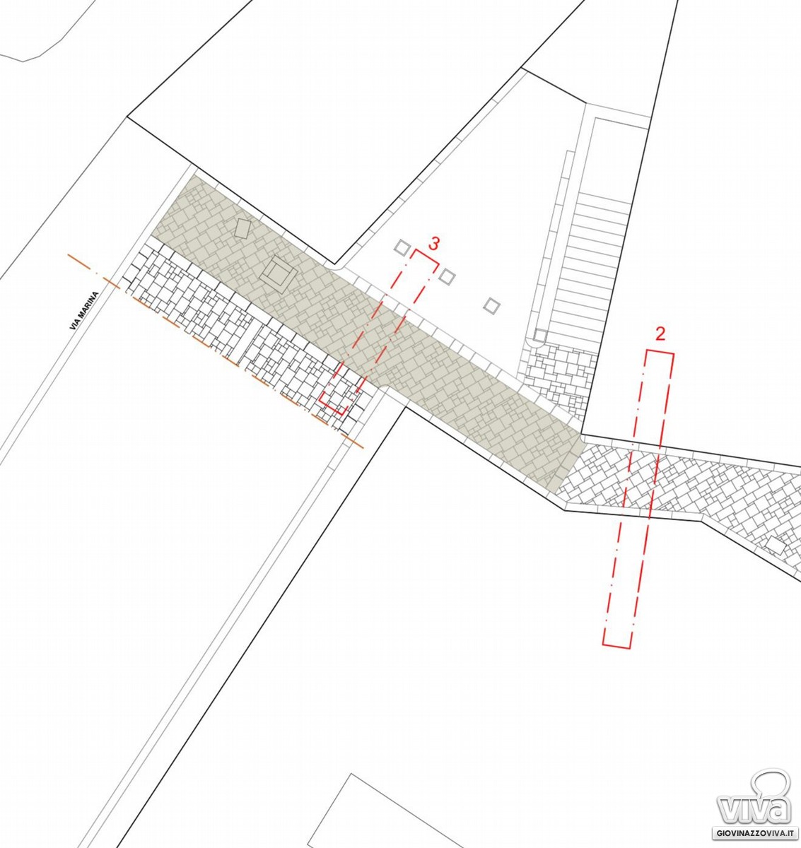
Nelle scorse giornate è stato aperto l'ultimo cantiere per il ribasolamento del centro storico. Questo segmento dei lavori interesserà il tratto di congiungimento tra via Marina e piazza Duomo. Proprio quest'ultima era stata completata la scorsa estate e quindi vi erano stati gli interventi di piazza Benedettine e piazzetta Zurlo, per poi passare a piazza Costantinopoli.
Il cantiere - ci fanno sapere da Palazzo di Città - sarà concluso entro giugno, ma per consentire l'arrivo nella Concattedrale di Santa Maria Assunta di monsignor Domenico Basile, il prossimo 26 aprile, la primissima parte delle chianche sarà già riposizionata entro la settimana. Con la bella stagione quindi i fedeli potranno tranquillamente accedere dalla scalinata che porta alla navata centrale, ai piedi della Cattedrale, nei pressi delle Sale del Bastione.
L'amministrazione comunale concluderà così un ciclo di quattro interventi per un importo complessivo che sfiora il milione e mezzo di euro. I fondi rivengono dal Piano Nazionale di Ripresa e Resilienza. I lavori sono sotto stretta osservazione da parte della Soprintendenza Archeologica, Belle Arti e Paesaggio. Quanto alle polemiche sollevatesi nelle ultime ore su numerazione e riposizionamento vecchie chianche, abbiamo già sentito gli uffici comunali e l'assessore Gaetano Depalo - come richiestoci da alcune lettrici ed alcuni lettori - ha fornito le spiegazioni del caso sull'esecuzione dei lavori da parte dell'Ente.
LE RISPOSTE DELL'ASSESSORE DEPALO ALLE POLEMICHE
«In questi giorni si assiste a ricostruzioni fantasiose circa l'esecuzione dei lavori di manutenzione del secondo lotto del tessuto viario nel centro storico. A tal proposito, è opportuno evidenziare che ogni scelta relativa all'opera ed al posizionamento della pietra bocciardata è stata prescritta dalla Soprintendenza di Bari, unico e insindacabile organo competente di controllo preposto alla tutela dei beni di interesse storico.
La tipologia di pietra è stata individuata dal funzionario territorialmente competente a seguito di una campionatura identica a quella già scelta, dal medesimo, per Piazza Duomo.
Per quanto riguarda le ragioni per cui alcune aree vengono pavimentate con pietre di nuova fattura, occorre fare chiarezza. In alcuni casi, si tratta di superfici precedentemente occupate da vecchi manufatti crollati (come in Piazza Benedettine); in altri, di armonizzare pavimenti di natura e caratteristiche simili già esistenti, come per Via Marina sino all'angolo ai piedi della prima scalinata della nostra Cattedrale per dare continuità architettonica all'arteria principale; in altri ancora la nuova pavimentazione ha la funzione di generare materiale storico, che andrà a sostituire quelle basole irrimediabilmente compromesse dal passaggio delle auto o dall'usura.
In fase progettuale, infatti, non è possibile prevedere con esattezza quanti metri quadrati di basole storiche saranno effettivamente recuperabili e se questi risulteranno sufficienti a coprire tutte le superfici ammalorate. Per tale motivo, la pietra bocciardata serve a produrre il quantitativo storico da integrare.
Un esempio concreto: l'intervento nella parte finale di Piazza Duomo, dove è stata posizionata la pietra bocciardata (è tecnicamente definita cava che ha la funzione di approvvigionamento di chianche originali), questa ha permesso di recuperare basole storiche che sono state poi riutilizzate per compensare le zone mancanti nei pressi della Cattedrale o laddove il basolato era stato danneggiato dal vecchio manto di asfalto.
I metri quadrati residui del primo intervento in Piazza Duomo (circa due bancali) sono stati consegnati all'impresa impegnata nel secondo lotto per essere impiegati nella "ricucitura" della pavimentazione ancora in corso di sistemazione. Per quanto riguarda le prescrizioni tecniche, la Soprintendenza ha indicato di procedere alla numerazione delle basole per favorire la ricostruzione della tessitura storica cioè il disegno originale (disposizione "a correre" anziché "a spina di pesce").
Il parere della Soprintendenza è chiaro:
"Per quanto riguarda i basolati da rimuovere, questi dovranno essere numerati e ricollocati secondo la TESSITURA, (come appena indicato il disegno) originaria, riducendo al minimo le perdite di materiale storicizzato. Il trattamento delle superfici delle nuove basole per le integrazioni deve essere concordato con la Soprintendenza ABAP competente mediante campionature, prevedendo una lavorazione a bocciarda eseguita a mano con punta grossa."
Infine, in merito alle illazioni circa il materiale in eccedenza al termine dell'intervento si precisa che lo stesso verrà depositato presso spazi comunali già adibiti allo stoccaggio e resterà disponibile per futuri ripristini necessari a seguito di danni o scavi stradali in aree di pregio.
In sintesi, nulla è lasciato al caso: l'intervento è seguito costantemente da architetti, archeologi e dalla Soprintendenza stessa; i lavori, inoltre, sono eseguiti esclusivamente da ditte specializzate in possesso delle certificazioni idonee. Nonostante l'impiego di tali professionalità, spiace constatare che vi sia ancora chi ritiene di avere competenze superiori, pur in assenza di titoli o di un'effettiva conoscenza dei fatti».
Il cantiere - ci fanno sapere da Palazzo di Città - sarà concluso entro giugno, ma per consentire l'arrivo nella Concattedrale di Santa Maria Assunta di monsignor Domenico Basile, il prossimo 26 aprile, la primissima parte delle chianche sarà già riposizionata entro la settimana. Con la bella stagione quindi i fedeli potranno tranquillamente accedere dalla scalinata che porta alla navata centrale, ai piedi della Cattedrale, nei pressi delle Sale del Bastione.
L'amministrazione comunale concluderà così un ciclo di quattro interventi per un importo complessivo che sfiora il milione e mezzo di euro. I fondi rivengono dal Piano Nazionale di Ripresa e Resilienza. I lavori sono sotto stretta osservazione da parte della Soprintendenza Archeologica, Belle Arti e Paesaggio. Quanto alle polemiche sollevatesi nelle ultime ore su numerazione e riposizionamento vecchie chianche, abbiamo già sentito gli uffici comunali e l'assessore Gaetano Depalo - come richiestoci da alcune lettrici ed alcuni lettori - ha fornito le spiegazioni del caso sull'esecuzione dei lavori da parte dell'Ente.
LE RISPOSTE DELL'ASSESSORE DEPALO ALLE POLEMICHE
«In questi giorni si assiste a ricostruzioni fantasiose circa l'esecuzione dei lavori di manutenzione del secondo lotto del tessuto viario nel centro storico. A tal proposito, è opportuno evidenziare che ogni scelta relativa all'opera ed al posizionamento della pietra bocciardata è stata prescritta dalla Soprintendenza di Bari, unico e insindacabile organo competente di controllo preposto alla tutela dei beni di interesse storico.
La tipologia di pietra è stata individuata dal funzionario territorialmente competente a seguito di una campionatura identica a quella già scelta, dal medesimo, per Piazza Duomo.
Per quanto riguarda le ragioni per cui alcune aree vengono pavimentate con pietre di nuova fattura, occorre fare chiarezza. In alcuni casi, si tratta di superfici precedentemente occupate da vecchi manufatti crollati (come in Piazza Benedettine); in altri, di armonizzare pavimenti di natura e caratteristiche simili già esistenti, come per Via Marina sino all'angolo ai piedi della prima scalinata della nostra Cattedrale per dare continuità architettonica all'arteria principale; in altri ancora la nuova pavimentazione ha la funzione di generare materiale storico, che andrà a sostituire quelle basole irrimediabilmente compromesse dal passaggio delle auto o dall'usura.
In fase progettuale, infatti, non è possibile prevedere con esattezza quanti metri quadrati di basole storiche saranno effettivamente recuperabili e se questi risulteranno sufficienti a coprire tutte le superfici ammalorate. Per tale motivo, la pietra bocciardata serve a produrre il quantitativo storico da integrare.
Un esempio concreto: l'intervento nella parte finale di Piazza Duomo, dove è stata posizionata la pietra bocciardata (è tecnicamente definita cava che ha la funzione di approvvigionamento di chianche originali), questa ha permesso di recuperare basole storiche che sono state poi riutilizzate per compensare le zone mancanti nei pressi della Cattedrale o laddove il basolato era stato danneggiato dal vecchio manto di asfalto.
I metri quadrati residui del primo intervento in Piazza Duomo (circa due bancali) sono stati consegnati all'impresa impegnata nel secondo lotto per essere impiegati nella "ricucitura" della pavimentazione ancora in corso di sistemazione. Per quanto riguarda le prescrizioni tecniche, la Soprintendenza ha indicato di procedere alla numerazione delle basole per favorire la ricostruzione della tessitura storica cioè il disegno originale (disposizione "a correre" anziché "a spina di pesce").
Il parere della Soprintendenza è chiaro:
"Per quanto riguarda i basolati da rimuovere, questi dovranno essere numerati e ricollocati secondo la TESSITURA, (come appena indicato il disegno) originaria, riducendo al minimo le perdite di materiale storicizzato. Il trattamento delle superfici delle nuove basole per le integrazioni deve essere concordato con la Soprintendenza ABAP competente mediante campionature, prevedendo una lavorazione a bocciarda eseguita a mano con punta grossa."
Infine, in merito alle illazioni circa il materiale in eccedenza al termine dell'intervento si precisa che lo stesso verrà depositato presso spazi comunali già adibiti allo stoccaggio e resterà disponibile per futuri ripristini necessari a seguito di danni o scavi stradali in aree di pregio.
In sintesi, nulla è lasciato al caso: l'intervento è seguito costantemente da architetti, archeologi e dalla Soprintendenza stessa; i lavori, inoltre, sono eseguiti esclusivamente da ditte specializzate in possesso delle certificazioni idonee. Nonostante l'impiego di tali professionalità, spiace constatare che vi sia ancora chi ritiene di avere competenze superiori, pur in assenza di titoli o di un'effettiva conoscenza dei fatti».









Ricevi aggiornamenti e contenuti da Giovinazzo 


.jpg)


.jpg)
